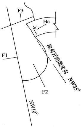
<p>如下图所示,某混凝土拱坝,坝肩山体中存在一连续的垂直向结构面F1(走向为NW10°),并在某一高程存在一水平软弱面F2,在

分类: 专业案例(水利水电) 发布时间: 2023-11-03 00:17 浏览量: 0

如下图所示,某混凝土拱坝,坝肩山体中存在一连续的垂直向结构面F1(走向为NW10°),并在某一高程存在一水平软弱面F2,在坝肩上游存在另一垂直结构面F3,F1、F2结构面的抗剪强度指标为f1=0.75、f2=0.55(不计凝聚力)。若拱座开挖方向保持不变,经拱坝试荷载应力计算,某设计工况,作用于F1、F2、F3、拱座及下游临空面构成的滑移楔形体上的荷载(合力)为: 拱端:法向力∑Ha=867×108kN(指向山体),剪力∑Va=695×108kN(指向下游)。 梁底:垂直力∑G=356×108kN(竖直向下),剪力∑Vb=78×108kN(指向下游)。 另外,楔形体自重:∑W=909×108kN(竖直向下)。 作用于楔形体F1面上的渗透压力∑U1=191×108kN。 作用于楔形体F2面上的渗透压力∑U2=35×108kN。 题图 混凝土拱坝坝肩局部示意图若不计其他荷载与影响,那么,采用刚体极限平衡法分析时,该坝肩楔形体的最小稳定安全系数最接近以下选项中的哪一项(  )

A.0.80

B.0.90

C.0.95

D.1.07

正确答案是A