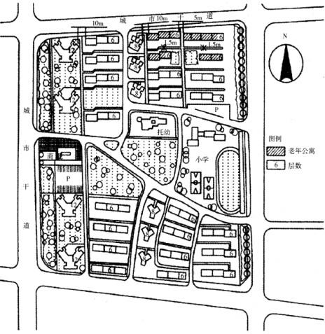
某居住小区规划方案如图所示,住宅建筑分为四个组团布置其中,在东北组团北侧安排了4幢老年公寓。规划提出了以下有关建设标准和技术要求:
(1)条式住宅之间的侧面间距为5m。
(2)多层条式住宅和高层住宅之间的侧面间距为10m。
(3)所有条式住宅之间的正面间距均按冬至日照1h的日照标准计算。
(4)宅间小路的路面宽度为1.5m。
(5)临街住宅的出入口不直接开向城市干道。
(6)所有6层条式住宅和8层塔式住宅均不设电梯。

【问题】
试判断这些标准和要求是否正确,若认为正确的只需说明该条“正确”;认为不正确(或不完全正确)的,指出其错误之处,并具体回答正确的内容。
(1)不正确。多层条式住宅侧面间距不宜小于6m。
(2)不正确。多层条式住宅和高层住宅侧面间距不宜小于13m。
(3)不完全正确。一般条式住宅根据不同建筑气候区应分别按大寒日或冬至日的日照标准计算,老年公寓的日照标准不应该低于冬至日的日照2 h的标准。
(4)不正确。宅间小路的路面宽度不应小于2. 5m。
(5)正确。
(6)不完全正确。8层塔式住宅和6层老年住宅
应设电梯。
【解析】
多层、高层住宅建筑间距有具体的规定。日照标准根据所处建筑气候区不同而有差异,一般建筑按冬至日或大寒日满窗日照1小时,老年住宅按冬至日2小时。居住区级、小区级、组团级、宅前道路宽度有范围规定。住宅内电梯设置根据住宅类型和层数有规定。详细内容可以参考《城市居住区规划设计规范》。
图中其他问题:北侧建筑退城市干道红线距离过小;小区主要车行入口不宜开向主干道;小区对外出入口设置太多,间距太小;道路结构不清晰,各等级道路设置不明确;未注意人车分行;地面停车不足;中心绿地面积太大,且被主要道路分隔成两部分,不利于使用;右下角组团缺少组团绿地。