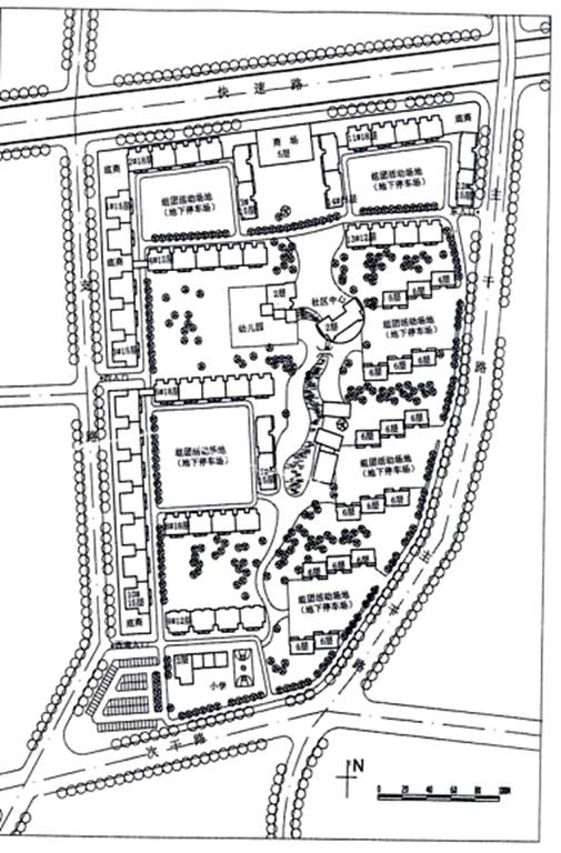
<p>图3为北方寒冷地区某城市一居住小区规划,基地面积含代征道路用地共计15.1公顷。用地北侧为城市快速路,东侧为主干路,南侧为

分类: 城乡规划实务 发布时间: 2023-11-03 01:01 浏览量: 1

图3为北方寒冷地区某城市一居住小区规划,基地面积含代征道路用地共计15.1公顷。用地北侧为城市快速路,东侧为主干路,南侧为次干路,西侧为支路。根据控制性详细规划,地段内配建幼儿园、小学各一座,以及一定数量的地区商业服务设施。当地日照间距系数为1.7。规划方案中,住宅层高2.7米,层数见图面所示。经评审,该方案环境良好、市政设施齐备。 某居住小区规划方案示意图   【问题】   试分析该方案存在哪些主要问题,并简述其理由。

该方案存在以下问题:   ①快速路边上不宜有商业,影响交通,也不安全。   ②东入口离立交桥太近,不符合相关规范要求。  ③不宜在主干道上设入口。   ④小区没有人行入口,不符合相关规范要求。   ⑤幼儿园的日照间距不够,且没有入口;幼儿园与水系直接相连,不符合相关规范要求。   ⑥小学位置太偏,没有田径场,且与西边的停车场出入有干扰,影响安全。   ⑦西侧沿支路超过150 米的高层应设消防车道,超过80 米的应设人形通道。   ⑧作为北方的小区,小区路不满足敷设供热管道的要求,不符合相关规定。   ⑨西北角的建筑日照不满足相关规范要求。   ⑩西南入口距交叉口距离不符合相关规范的要求,且因为正对折线,视线有遮挡,影响安全。   ?正对丁字路口,影响安全。   ?建筑整体布局凌乱,不美观,部分建筑通风采光不好。