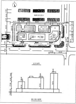
某北方城市拟在市中心地段新建一集公寓、办公、宾馆、商业为一体的综合性建筑。用地朝向为南偏东13°,用地情况为:东侧为城市支路,道路红线宽度为20m,退红线设10m宽绿带;南侧为城市次干道,道路红线宽度为30m,退红线设15m宽绿带;北侧为现状居民住区,全部为6层砖混住宅;西侧为现状某办公楼。
城市规划部门提供的规划设计条件如下:
(1)低层、多层建筑退绿线不少于5m。
(2)高层建筑退绿线不少于15m。
(3)建筑限高100m。
(4)绿地率不少于15%。
(5)停车车位:按照规范要求。
(6)日照要求:板式建筑间距系数为1.61,塔式建筑间距为遮挡面面宽的1.2倍。
设计要求提供的图纸如图3所示。

【问题】
请按照我国现行相关规定及规划管理部门的规划设计条件指出设计图纸中存在的问题。
(1)新建建筑南侧未满足设置15m绿化带的要求。
(2)不应该占用绿化带布置机动车停车场。
(3)沿街建筑物长度超过150m时,应设消防车道。
(4)高层办公楼与高层公寓之间的间距不符合消防要求。
(5)高层公寓、宾馆裙房距北侧住宅的间距不足。
(6)高层建筑下部全部被裙房包围,应该有部分高层外墙直接垂直落地,并应该有直接对外出入口。
(7)汽车出入口距城市干路交叉口过近。
(8)地下车库出入口位置设置不当,出入不方便。
【解析】
首先,对题目中已给出的规划控制条件,依次读图检查是否满足。
然后,有几个潜在问题,读图时需注意的:
一是关于城市道路:等级道路上出入口数量是否太多;出入口与道路交叉口距离是否满足大于70m。二是关于消防:沿街建筑长度是否超过消防距离,有无开设消防车通道;高层建筑及其裙房是否都满足消防面、消防高度的要求;建筑间距是否满足消防间距;是否设置消防环路。三是关于日照间距:南侧建筑是否遮挡北侧建筑的日照。该题建筑朝向非正南正北,计算时注意偏角。四是关于停车:地面停车地设置是否合理;地下出入口设置是否利于交通流线组织。消防的部分主要参考《城市规划相关知识》的防灾部分,P252~253有详细的数据。