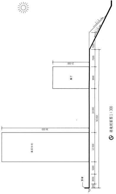
<p>设计条件 1.某场地剖面如图所示,拟在场地内建一栋高层住宅和一栋餐厅,场地南面与北面均为坡地。 <img alt=""

分类: 场地设计(作图题) 发布时间: 2023-11-03 00:00 浏览量: 0

设计条件 1.某场地剖面如图所示,拟在场地内建一栋高层住宅和一栋餐厅,场地南面与北面均为坡地。 2.在场地北面设有围墙,围墙高1.8m,墙宽0.3m,场地南面为绿化景区,其边缘有护坡,坡度为i=1:2。 3.建筑单体尺寸和高度如图所示。4.该场地日照间距系数为1.2。

A