设计条件
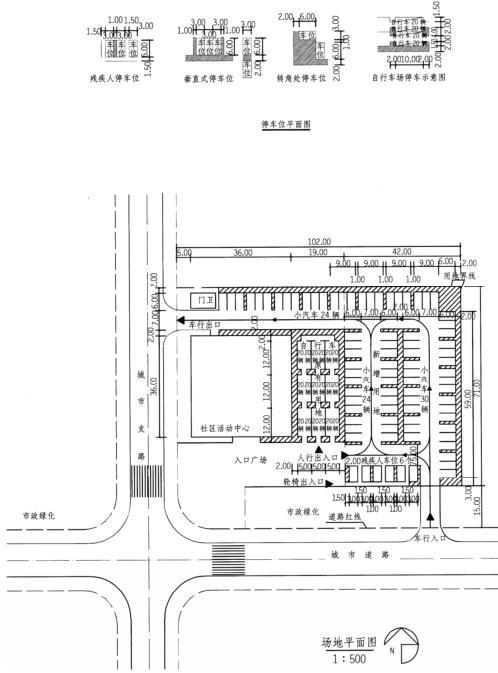
1.某社区活动中心拟扩建室外停车场,用地见下页图。
2.要求在活动中心建筑东侧原有场地布置自行车停车场,保留原门卫和出入口,其余用地范围内尽可能多布置小汽车停车位(含残疾人停车位6个),停车位尺寸及布置要求见停车位平面图。
3.停车场内车行道宽度不小于7m,要求车行道贯通无盲端。停车方式采用3辆一组的成组垂直式。
4.小汽车停放量超过50辆时,车辆出入口不应少于两个,两个出入口的净距应大于10m。
5.停车场用地范围及建筑周边至少留出2m宽的绿化带,残疾人停车位及原门卫处可不设。自行车停车带与建筑物、道路以及小汽车停车位之间也应留出2m宽的绿化带。
6.停车场的汽车通道由城市道路引入,引道宽度,单车道为5m,双车道为7m。


解题要点 1.停车场出入口数量及其最小间距应满足《汽车库、修车库、停车场设计防火规范》要求。 2.合理布置停车带和行车道。车位尽可能布置合理与多设。 3.尽可能形成环形车道,方便通行。特别注意不同大小车辆的转弯半径布置。 4.按要求合理进行残疾人车位设置。做到位置与尺度正确,方便使用。 作图提示 1.此题考的是一个社区活动中心原有停车场的改扩建问题。原有停车场活动中心建筑的东侧和北侧,用地比较狭窄,只能停放41辆小汽车,在西北角有一个7m宽的车行出入口和门卫。为扩建停车场,在原有用地东侧新增东西宽42m,南北长71m的用地。要求将建筑东侧原有小汽车停车场改作自行车停放场地,其余原有停车场地加上新增用地全部改为小汽车停车场。此题不同于往年停车场题的地方是,小汽车停车位要求每3辆1组,成组布置,两组之间设1m绿化隔离带。另外还增加了自行车停车场布置。自行车也要求20辆1组布置。均根据所给图示完成作图。 2.小汽车停车场扩建后容量肯定会超过50辆。无论题目有无提示,汽车出入口不能少于两个。原有出入口保留,只能在南面再开一个。新增用地将是主要的小汽车停车场地。用地宽42m,正好布置2条车道4条停车带作“回”字形布置,这是典型的布置方法。然后和建筑北侧原有场地贯通,统一布置车位。 3.题目要求考虑车行和人行路线组织以及人、车出入口位置,特别是残疾人车位摆放。应注意活动中心主入口和入口广场在南部,公共人流进出停车场显然宜在停车场南部向东位置上。小 汽车两个口分工,南侧进西北出也比较合理。 4.残疾人车位考虑去活动中心方便,离车辆入口又近,宜放在南面。残疾人轮椅专用通道向西直通活动中心入口广场。 5.自行车停车场在36m×19m用地上按图示要求,正好布置9组停车带,每组40辆,共停360辆。自行车场的人员出入口布置在南面靠近活动中心入口广场比较合适。